ホーム
最強クラスの熱帯低気圧
最強クラスの熱帯低気圧
航空機観測で中心気圧890hPa未満と推定された熱帯低気圧、赤外ドボラック法でT8.0程度だと思われる(眼内が+20℃程度で壁雲が-80度未満)熱帯低気圧、それらと同等に強いと思われる熱帯低気圧の画像を、同じ縮尺でまとめています。
ひまわりの画像については、商用利用は禁止されています。
衛星によって輝度温度の値はある程度食い違っています。絶対的な正解データがないため、どの衛星が正確なのかは不明です。
全画像とも、クリックすると高解像度画像が開きます。また、カラーバー(輝度温度、℃)は以下の通りです。
航空機観測あり
航空機観測なし
1983年台風5号 (Abby)
航空機観測が行われ、最低気圧の推定値は888hPaでした。
ひまわり2号 8/8 12UTC
ひまわり2号 8/8 18UTC
1983年台風10号 (Forrest)
航空機観測が行われ、最低気圧の推定値は883hPaでした。
眼が小さく、画像の解像度が不足気味なので、眼の内部の実際の温度はより高かった可能性があります。
ひまわり2号
1984年台風22号 (Vanessa)
航空機観測が行われ、最低気圧の推定値は879hPaでした。
ひまわり3号
1988年ハリケーンGilbert
航空機観測が行われ、最低気圧の推定値は888hPaでした。
NOAA-09 AVHRR 赤外画像
NOAA-09 AVHRR 可視画像
2005年ハリケーンWilma
航空機観測が行われ、最低気圧の推定値は882hPaでした。
Aqua MODIS
2010年台風13号 (Megi)
航空機観測が行われ、最低気圧は885hPaと推定されています。
Metop-A AVHRR
Terra MODIS
2015年ハリケーンPatricia
航空機観測が行われ、最盛期の最低気圧は872hPaと推定されています。
Terra MODIS
NOAA-19 AVHRR
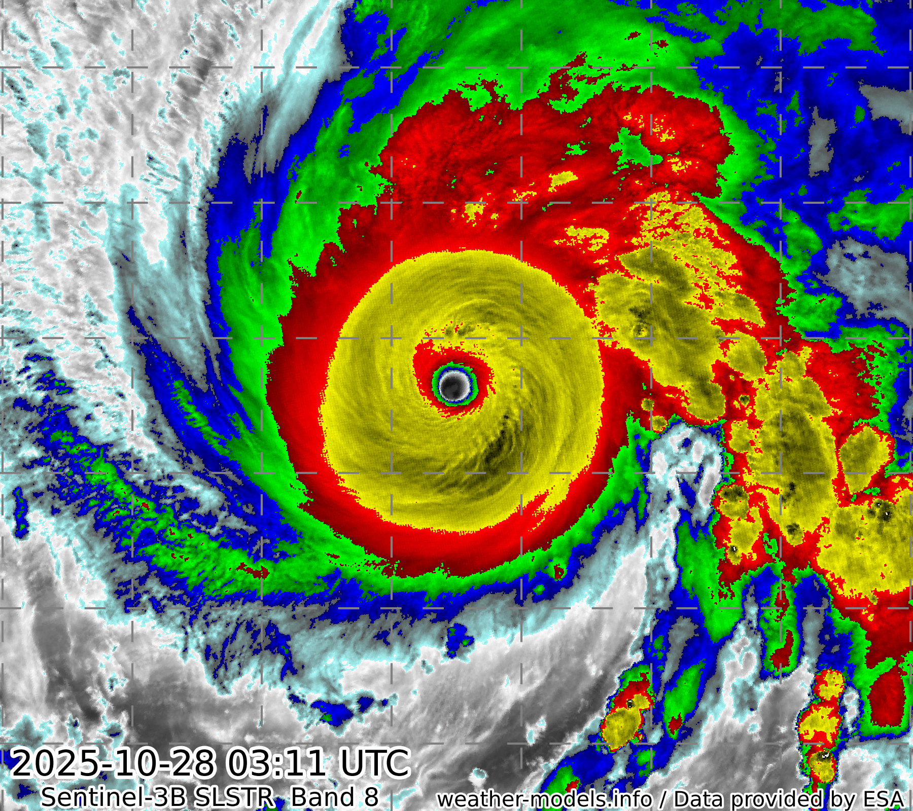
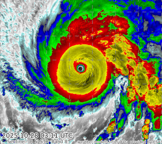
2025年ハリケーンMelissa
航空機観測が行われ、最低気圧の推定値は893hPaでした。
Aqua MODIS
1991年台風28号 (Yuri)
ひまわり4号
NOAA-11 AVHRR
1992年台風30号 (Gay)
ひまわり4号
NOAA-12 AVHRR
2005年サイクロンOlaf
Aqua MODIS
2006年台風19号 (Cimaron)
Aqua MODIS
ひまわり6号
2009年台風22号 (Nida)
11/25 06:30 UTC ひまわり7号
11/25 13:00 UTC ひまわり7号
11/25 06:41 UTC NOAA-15 AVHRR
輝度温度の値は不正確だと思われます
11/25 13:19 UTC Terra MODIS
2013年台風30号 (Haiyan)
Terra MODIS
Terra MODIS (広域版)
ひまわり6号
NOAA-19 AVHRR
Suomi NPP VIIRS
輝度温度の値は不正確だと思われます
2014年台風22号 (Hagupit)
Metop-B AVHRR
Suomi NPP VIIRS 赤外画像
Suomi NPP VIIRS 可視画像
2015年サイクロンPam
Metop-A AVHRR
2016年サイクロンWinston
Aqua MODIS
2016年台風14号 (Meranti)
Metop-B AVHRR
2018年台風25号 (Kong-Rey)
Terra MODIS
2018年台風26号 (Yutu)
Metop-A AVHRR
2019年台風19号 (東日本台風、Hagibis)
ひまわり8号
Metop-A AVHRR
2019年台風23号 (Halong)
Suomi NPP VIIRS
Aqua MODIS
2020年台風19号 (Goni)
10/30 04:42 UTC NOAA-20 VIIRS
10/31 16:55 UTC NOAA-20 VIIRS
2021年台風2号 (Surigae)
Metop-C AVHRR
Sentinel-3B SLSTR
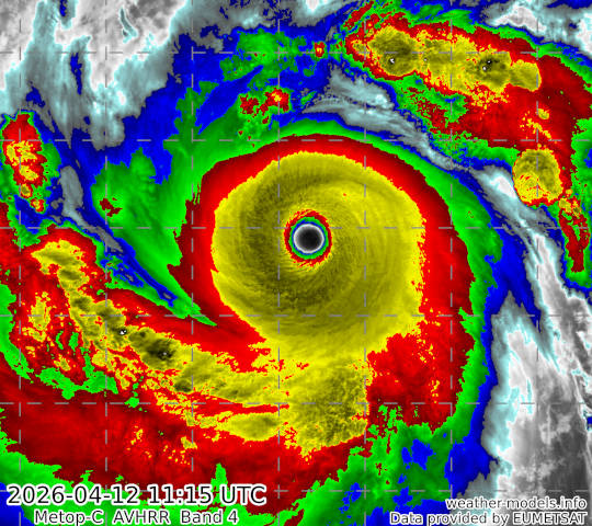
2026年台風4号 (Sinlaku)
Metop-B AVHRR
Metop-C AVHRR